Bạn có thể chuyển sang phiên bản mobile rút gọn của Tri thức trực tuyến nếu mạng chậm. Đóng

Phối cảnh đường liên cảng Cát Lái hơn 8.700 tỷ khởi công quý cuối năm

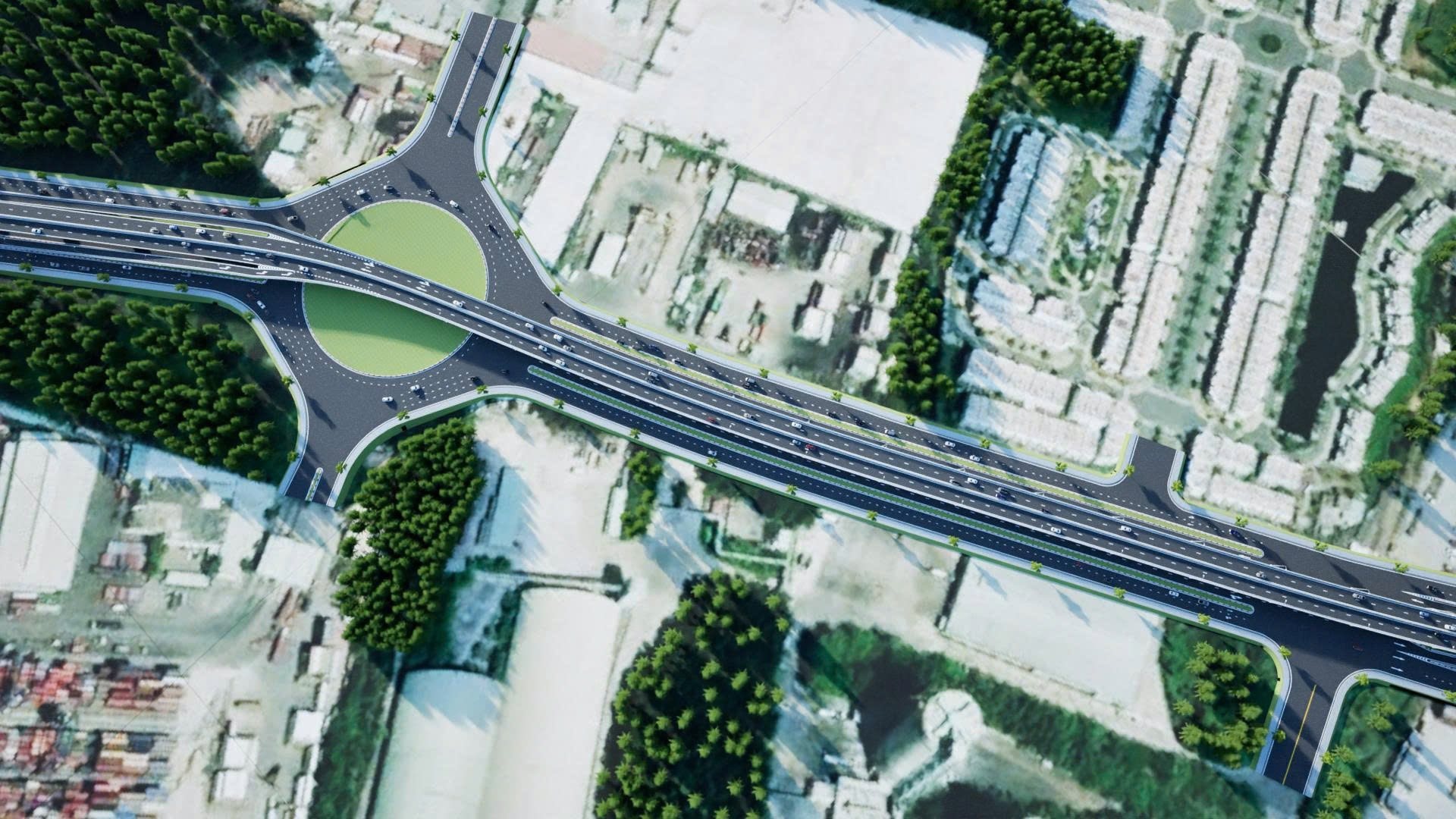
Tổng chiều dài tuyến đường gần 6 km, rộng 60 m, nút giao được thiết kế nhiều tầng. Dự án kỳ vọng giải quyết căn cơ tình trạng ùn tắc giao thông khu vực cụm cảng Cát Lái - Phú Hữu.

lien cang Cat Lai anh 1

Dự án xây dựng đường liên cảng Cát Lái - Phú Hữu - nút giao cao tốc TP.HCM - Long Thành - Dầu Giây và đường Vành đai 3 TP.HCM dài 5,9 km, tổng vốn 8.782 tỷ đồng từ ngân sách thành phố, vừa được HĐND TP.HCM thông qua chủ trương đầu tư vào ngày 6/2.

lien cang Cat Lai anh 2

Trong ảnh là khu vực nút giao đường liên cảng Cát Lái - Phú Hữu với cao tốc TP.HCM - Long Thành - Dầu Giây và Vành đai 3 TP.HCM. Dự án dự kiến bồi thường giải phóng mặt bằng từ quý II/2026 đến quý I/2027. TP.HCM sẽ lựa chọn nhà thầu trong quý III/2026 và khởi công công trình trong quý IV/2026, hoàn thành vào quý IV/2028.

lien cang Cat Lai anh 3

Công trình có điểm đầu nối vào đường Nguyễn Thị Định gần giao lộ Trương Văn Bang, điểm cuối tại nút giao Vành đai 3 và cao tốc TP.HCM - Long Thành - Dầu Giây, qua hai phường Cát Lái và Long Trường. Tại nút giao với đường Nguyễn Thị Định, giai đoạn trước mắt thực hiện nút giao bằng, trong quá trình tiếp theo sẽ nghiên cứu đầu tư nút giao khác mức trong dự án khác. Nguyễn Thị Định là tuyến độc đạo vào cảng Cát Lái, đang được nghiên cứu mở rộng từ 24 m lên 60-73 m.

lien cang Cat Lai anh 4

Trên tuyến sẽ xây cầu Bà Cua gồm 2 đơn nguyên, tổng cộng 10 làn xe (mỗi đơn nguyên 5 làn xe, bao gồm 3 làn xe tuyến chính và 2 làn xe song hành).

lien cang Cat Lai anh 5

Đoạn từ cảng Phú Hữu đến cảng SP-ITC xây dựng cầu cạn quy mô 4 làn xe và 3 vị trí kết nối với phần đường đi thấp. Phần cầu của dự án còn có đoạn từ cảng SP-ITC đến nút giao cao tốc TP.HCM - Long Thành - Dầu Giây và đường Vành đai 3 TP.HCM xây dựng cầu cạn quy mô 6 làn xe.

lien cang Cat Lai anh 6

Tại giao lộ với đường Nguyễn Thị Tư, dự án thiết kế vòng xoay cho xe rẽ đi các hướng.

lien cang Cat Lai anh 7

Tại khu vực ven rạch Ông Nhiêu, dự án thiết kế đường chui dưới cầu cạn phục vụ nhu cầu đi lại giữa các khu dân cư xung quanh.

lien cang Cat Lai anh 8

Nút giao lớn và phức tạp nhất nằm ở cuối tuyến là khu vực kết nối với tuyến Vành đai 3 và cao tốc TP.HCM - Long Thành - Dầu Giây. Nơi này được bố trí nhiều nhánh cầu vượt và hầm chui cho xe vòng theo các hướng. Khi hoàn thành, nút giao này sẽ trở thành một trong những nút giao lớn và hiện đại nhất TP.HCM, bên cạnh nút An Phú và Tân Vạn đang thi công.

lien cang Cat Lai anh 9

Theo HĐND TP.HCM, việc xây dựng tuyến đường liên cảng Cát Lái - Phú Hữu - nút giao cao tốc TP.HCM - Long Thành - Dầu Giây và đường Vành đai 3 TP.HCM nhằm tạo một trục giao thông mới có tính chất chuyên dụng, kết nối trực tiếp hệ thống cảng Cát Lái - Phú Hữu, tăng cường năng lực giao thông ra vào cảng; giảm áp lực xe container vào nội thành, tạo thuận lợi cho việc phát triển các khu dân cư, khu đô thị trên địa bàn phía đông TP.HCM.

Dự kiến khởi công đường liên cảng Cát Lái hơn 8.700 tỷ quý cuối năm

Với vốn đầu tư hơn 8.700 tỷ đồng, dự án đường liên cảng Cát Lái dự kiến khởi công trong quý IV/2026 và hoàn thành vào quý IV/2028.

Hiện trạng đường Vành đai 3 TP.HCM nối cao tốc Bến Lức - Long Thành

Ban Quản lý dự án đầu tư xây dựng tỉnh Đồng Nai cho biết dự án đường Vành đai 3 TP.HCM đoạn qua địa bàn tỉnh đang triển khai 3 gói thầu thi công xây lắp chính đạt sản lượng hơn 63%.

Đường 2.000 tỷ ở khu đông TP.HCM sau 9 tháng thi công mở rộng

Dự án mở rộng đường Nguyễn Thị Định đang được đẩy nhanh tiến độ trong những ngày đầu năm, với kỳ vọng sớm hoàn thành nhằm giảm áp lực giao thông khu vực cảng Cát Lái và phía đông TP.HCM.

Tri Thức - Znews giới thiệu độc giả Tủ sách kiến thức kinh tế với đa dạng cuốn sách, câu chuyện trong lĩnh vực kinh doanh, kinh tế. Là nguồn tư liệu cho những người quan tâm và muốn nâng cao kiến thức trong lĩnh vực kinh tế. Những cuốn sách, câu chuyện trong Tủ sách không chỉ đơn thuần là những tác phẩm của tri thức mà còn chứa đựng bí quyết, kinh nghiệm quý báu từ các tác giả, nhà quản lý có uy tín và kinh nghiệm lâu năm trong ngành.

Đọc sách không chỉ giúp người đọc tiếp cận những kiến thức mới mà còn giúp mở rộng tầm nhìn và phát triển bản thân. Tủ sách kiến thức kinh tế mong muốn lan tỏa tri thức trong lĩnh vực kinh doanh, đồng thời phát triển văn hóa đọc cho người Việt.

Gia vang the gioi lai roi thang dung hinh anh

Giá vàng thế giới lại rơi thẳng đứng

0

Giá vàng thế giới tiếp tục giảm sâu, khi đồng USD mạnh lên và Iran liên tục đưa ra các lời đe dọa khiến tình hình chiến sự càng trở nên leo thang.

VN-Index 'do day' hinh anh

VN-Index 'dò đáy'

0

Áp lực bán gia tăng kéo VN-Index xuống dưới đường trung bình 200 ngày, các công ty chứng khoán cho rằng xu hướng giảm vẫn chiếm ưu thế dù có thể xuất hiện nhịp hồi kỹ thuật ngắn hạn.

Nha dau tu 'thao chay', gia vang se ra sao? hinh anh

Nhà đầu tư 'tháo chạy', giá vàng sẽ ra sao?

0

Giá vàng thế giới đang liên tục lao dốc đánh mất hàng loạt mốc hỗ trợ quan trọng khi cuộc chiến ở Trung Đông đẩy giá năng lượng tăng cao và làm giảm kỳ vọng về việc cắt giảm lãi suất.

Thảo Liên

Ảnh phối cảnh: Sở Xây dựng

Bạn có thể quan tâm