![]() |
|
Trạm Không gian Quốc tế (ISS) di chuyển trên quỹ đạo cách bề mặt trái đất 320 km. Từ không gian, các phi hành gia có thể quan sát siêu bão Maysak khi nó di chuyển tới lãnh thổ Philippines. Ảnh: NASA |
![]() |
|
Livescience dẫn lời phi hành gia Terry Virts của Cơ quan Hàng không Vũ trụ Mỹ (NASA), cho biết: “Khi nhìn xuống mắt bão, tôi thấy nó giống hố đen vũ trụ mà chúng ta thường thấy trong các bộ phim khoa học viễn tưởng”. Ảnh: AP |
![]() |
|
Virts và đồng nghiệp công bố những bức ảnh về siêu bão nhiệt đới với sức gió lên tới 250 km/h trên mạng xã hội Twitter. Theo NASA, mắt bão có đường kính lên tới 27 km. Ảnh: NASA |
![]() |
|
Samantha Cristoforetti, phi hành gia người Italy, mô tả sức tàn phá của cơn bão là khủng khiếp dù họ quan sát nó từ trên quỹ đạo trái đất. Phần mắt bão giống hệt hố đen. Ảnh: NASA |
![]() |
|
Mắt bão thường là khu vực lặng gió và không bị mây bao phủ. Tuy nhiên, gió xung quanh nó luôn đạt cấp độ mạnh nhất trong một cơn bão. Những khu vực mà mắt bão quét qua thường hứng chịu thiệt hại nặng nề nhất. Ngoài ra, sóng biển ở khu vực mắt bão tràn qua thường cực kỳ dữ dội. Ảnh: NASA |
![]() |
|
Các phi hành gia quan sát bão từ Cupola, căn phòng có 7 cửa sổ trên ISS. Đây là nơi tốt nhất để ngắm cảnh trên trạm. Ảnh: AP |
![]() |
|
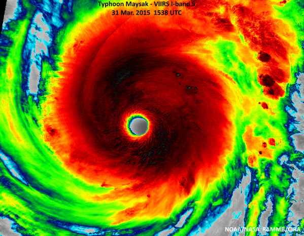
Các vệ tinh thời tiết cũng cho thấy rõ vị trí mắt bão Maysak. Đám mây xung quanh thường được tô màu rất đậm vì chúng chứa lượng nước lớn hoặc có nhiệt độ thấp hơn các khu vực xung quanh. Ảnh: NASA |
![]() |
|
Maysak cũng là một trong những siêu bão hình thành sớm nhất năm từ sau bão Mitag xuất hiện trong tháng 3/2002. Ảnh: NASA |








