Thế giới
Siêu bão cực mạnh sắp đổ bộ Philippines nhìn từ vũ trụ
- Thứ tư, 1/4/2015 17:06 (GMT+7)
- 17:06 1/4/2015
Maysak, cơn bão nhiệt đới có sức tàn phá cấp 5, cấp mạnh nhất theo thang báo bão của Mỹ, sắp đổ bộ vào Philippines.
 |
|
Theo Washington Post, bão Maysak đạt cấp mạnh nhất theo thang báo bão Saffir-Simpson, tương đương siêu bão Haiyan đổ bộ vào Philippines trong năm 2013. Sức gió mạnh nhất ở vùng gần tâm bão đạt 250 km/h. Ảnh: ISS
|
 |
|
Theo AP, bão Maysak quét qua các đảo trên Thái Bình Dương, làm ít nhất 5 người thiệt mạng. Nó đang hướng thẳng về phía Philippines. Ảnh chụp từ Trạm vũ trụ quốc tế ISS cho thấy phạm vi ảnh hưởng rộng lớn của bão. Ảnh: ISS
|
 |
|
Sự xuất hiện của bão Maysak được đánh giá là bất thường vì bão mạnh hiếm khi xuất hiện ở phía tây Thái Bình Dương vào mùa xuân. Theo dự báo, tâm bão sẽ quét qua miền bắc Philippines trong cuối tuần này. Ảnh: ISS
|
 |
|
Mắt bão được nhìn từ ISS. Phi hành gia Samantha Cristoforetti người Italy đã chụp cận cảnh mắt bão khi trạm vũ trụ quốc tế bay qua khu vực nó di chuyển. Ảnh: ISS
|
 |
|
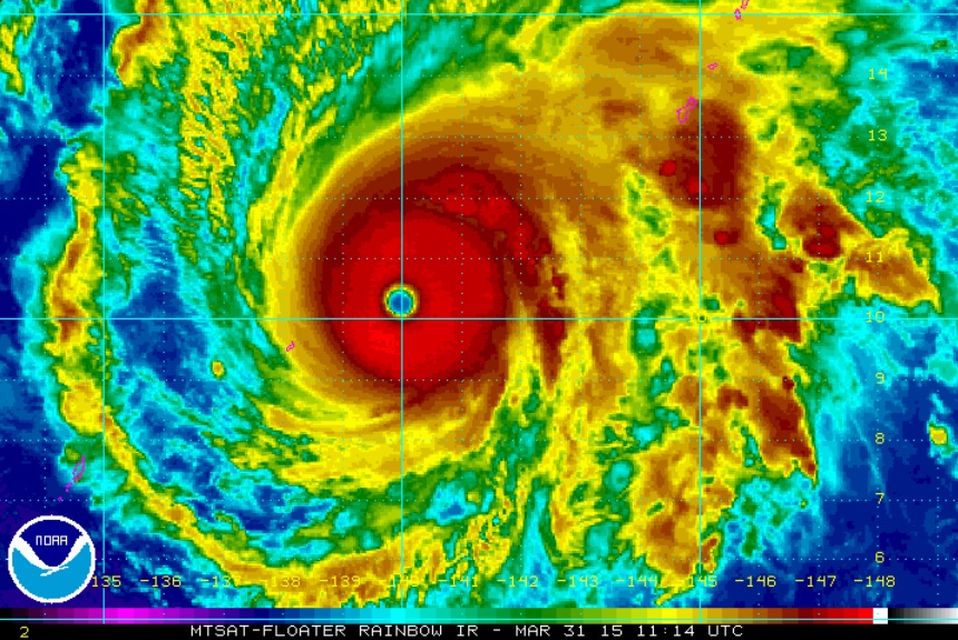
Theo các đài khí tượng, tâm bão Maysak sẽ quét qua khu vực đông bắc Manina trong ngày 5/4. Đây là cơn bão hình thành nhanh thứ 3 kể từ năm 1940. Ảnh: NOAA
|
 |
|
Maysak cũng là một trong những siêu bão hình thành sớm nhất năm, kể từ sau bão Mitag trong tháng 3/2002. Những cơn bão có sức gió mạnh hơn 240 km/h được gọi là siêu bão. Ảnh: NOAA
|
 |
Vị trí của Maysak trên trái đất. Ảnh: Weather.com
|
 |
|
Mô phỏng đường đi của bão Maysak. Ảnh: Weather.com
|
Philippines
siêu bão
ảnh vệ tinh
Maysak
bão nhiệt đới
Philippines
Manina