Bạn có thể chuyển sang phiên bản mobile rút gọn của Tri thức trực tuyến nếu mạng chậm. Đóng

Hình ảnh siêu bão Mawar tiến sát Philippines nhìn từ vệ tinh

Ảnh vệ tinh đã chụp được tâm bão Mawar khi đi qua phía Tây biển Thái Bình Dương với vận tốc khủng khiếp. Đây là cơn bão mạnh nhất được ghi nhận kể từ 2021.

Bao Mawar tu ve tinh anh 1

Trong bản tin thời tiết mới nhất, cơ quan khí tượng ghi nhận siêu bão Mawar đã mạnh hơn khi tiến vào vùng biển thuộc địa phận Philippines vào sáng ngày 26/5. Tính đến 10h, tâm bão ước tính cách đảo Luzon, Philippines 1.705 km về hướng đông đông nam. Cơn bão đang di chuyển về phía tây với vận tốc 20 km/h, sức gió duy trì tối đa 215 km/h gần tâm bão, gió giật lên đến 260 km/h và áp suất trung tâm 905 hPa. Ảnh: PAGASA.

Bao Mawar tu ve tinh anh 2

Trước đó, các vệ tinh thời tiết đã theo dõi siêu bão Mawar có sức gió hơn 225 km/h, quét ngang vùng đảo Guam từ hôm 24/5. Cơn bão đã khiến hòn đảo mất điện diện rộng, buộc Nhà Trắng phải đưa thông báo khẩn cấp đến các vùng lãnh thổ để hỗ trợ thiên tai. Cơ quan Quản lý Khí quyển và Đại dương Mỹ (NOAA) còn khẳng định rằng đây là cơn bão có sức công phá khủng khiếp nhất trong vòng 6 thập kỷ trở lại. “Chúng tôi đang đối mặt với một đống hỗn loạn phải mất rất nhiều tuần mới có thể phục hồi”, nhà khí tượng học Landon Aydlett của National Weather Service cho biết. Ảnh: CIMSS.

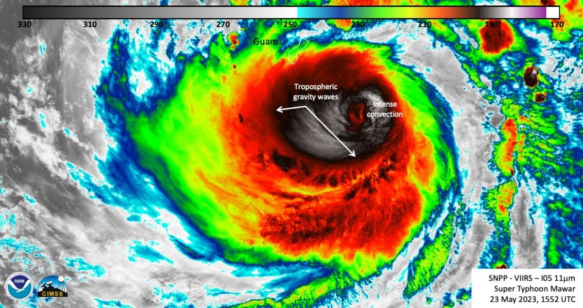
Bao Mawar tu ve tinh anh 3

Tấm ảnh được ghi lại bởi vệ tinh thời tiết Himawari 9 của Nhật Bản, cho thấy chu trình thay thế thành mắt bão đã bắt đầu từ phía đông đảo Guam, sau đó tiếp tục mạnh dần lên cấp 5, cấp cao nhất trên thang cảnh báo bão quốc tế. Đây là cơn bão mạnh nhất được ghi nhận kể từ 2021. Ảnh: NOAA.

Bao Mawar tu ve tinh anh 4

Trong ảnh vệ tinh tâm bão đã di chuyển đến đảo Guam vào lúc 7h (giờ địa phương), sau đó tiếp tục chuyển động trên vùng biển Thái Bình Dương. Siêu bão đã quét sạch khu vực phía bắc của hòn đảo, khiến 98% dân số mất điện, hàng loạt căn nhà tốc mái, cây đổ, xe cộ lật nhào trên đường. Sân bay quốc tế và nhà dân của đảo Guam cũng ngập trong lũ nước. Hiện vẫn chưa có ghi nhận thương vong nhưng cơn bão mang theo mưa lớn tại khu vực phía bắc và trung tâm hòn đảo. Ảnh: CIRA.

Bao Mawar tu ve tinh anh 5

NOAA còn chia sẻ tấm ảnh time-lapse ghi lại hành trình 4 ngày di chuyển và càn quét của siêu bão Mawar do vệ tinh thời tiết Himawari 9 của Nhật Bản ghi lại. Tấm ảnh cho thấy những đợt lốc khủng khiếp do cơn bão gây ra trên vùng biển Thái Bình Dương. Phần màu đậm hơn là những đám mây hình thành trên vùng khí quyển cao, kết hợp với sấm chớp tụ quanh phần tâm bão. Ảnh: NOAA.

Bao Mawar tu ve tinh anh 6

Vệ tinh Sentinel-3 của European Space Agency cũng theo dõi diễn biến siêu bão Mawar bằng phổ ánh sáng có thể nhìn thấy được, cho thấy quy mô khủng khiếp của cơn bão khi đến hòn đảo Guam. Ảnh: ESA.

Bao Mawar tu ve tinh anh 7

Theo dự báo thời tiết của Cục quản lý Thiên văn, Địa vật lý và Khí quyển Philippines (PAGASA), siêu bão sẽ tiệm cận đến khu vực đảo Luzon, Philippines rồi chuyển hướng tây tây bắc vào khu vực Đài Loan. Cơn bão sau đó có thể ảnh hưởng tới Đài Loan, Hàn Quốc và Nhật Bản. Cơ quan khí tượng dự đoán siêu bão sẽ đến Philippines vào sáng sớm ngày 27/5 (giờ địa phương) và được đặt tên địa phương là Betty. Ảnh: Weather.

Bao Mawar tu ve tinh anh 8

“Từ ngày 29/5, siêu bão nhiệt đới có thể sẽ suy yếu với tốc độ nhanh hơn do các điều kiện thời tiết không thuộc lợi như sự xâm nhập của khối không khí khô, nhiệt độ bề mặt nước biển giảm”, PAGASA cho biết. Tuy nhiên, khu vực phía bắc Luzon vẫn sẽ đón lượt mưa lớn trong đầu tuần tới do ảnh hưởng của bão. Ảnh: Windy.

Bao Mawar tu ve tinh anh 9

Trước đó, các cơ quan khí tượng của Nhật Bản và Mỹ siêu bão Mawar có thể vào Biển Đông của Việt Nam nhưng đã chuyển hướng sang Philippines và Đài Loan. Nhưng do ảnh hưởng bão, dự báo trong những ngày tới khu vực Nam bộ và Nam Trung bộ, đặc biệt là TP.HCM có mưa dông kéo dài. Ảnh: Zoom Earth.

Những nhà khoa học tiên phong

"Những nhà khoa học tiên phong" là một cuốn sách thú vị về lịch sử của những phát minh nổi tiếng. Để có được những đóng góp vĩ đại cho nhân loại, các nhà khoa học nổi tiếng đã làm việc với lòng say mê và tinh thần học hỏi không ngừng.

Ảnh vệ tinh khắc họa thảm họa của thời trang nhanh

Một hình ảnh vệ tinh cho thấy hàng tấn đồ cũ chất đống trong một nghĩa địa quần áo tại sa mạc Atacama, thuộc lãnh thổ Chile.

Nhóm thanh niên được cứu nhờ tính năng trên iPhone 14

Hệ thống gọi trợ giúp trong trường hợp khẩn cấp thông qua vệ tinh của iPhone 14 đã dẫn đường cho đội cứu hộ giải cứu 10 thanh niên đi bộ đường dài bị mắc kẹt tại California.

Thúy Liên

Bạn có thể quan tâm