Bạn có thể chuyển sang phiên bản mobile rút gọn của Tri thức trực tuyến nếu mạng chậm. Đóng

Con mắt 'quái vật' của siêu bão mạnh nhất hành tinh năm 2026

Ảnh vệ tinh hồng ngoại cho thấy siêu bão Sinlaku đạt cấu trúc hoàn hảo, trong khi đường đi liên tục thay đổi khiến các đảo thuộc Mỹ như Saipan, Tinian đối mặt nguy cơ hứng trọn tâm bão.


Sinlaku anh 1

Siêu bão Sinlaku đang bước vào giai đoạn nguy hiểm nhất khi tiến sát các lãnh thổ của Mỹ ở Tây Thái Bình Dương, với tâm điểm là quần đảo Bắc Mariana. Theo San Francisco Chronicle, đây hiện là cơn bão mạnh nhất thế giới năm 2026 và có khả năng gây tác động trực tiếp tới hàng chục nghìn công dân Mỹ trong những ngày tới. Trong khi đó, đài phát thanh đưa tin hôm 12/4 rằng "bão quái vật" Sinlaku tiến về phía Quần đảo Bắc Mariana (CNMI), khiến chính quyền liên bang phải ban bố tình trạng khẩn cấp và hủy bỏ nhiều chuyến bay khi các quan chức cảnh báo về gió mạnh và lũ lụt gây thiệt hại. Ảnh: CIMSS.

Sinlaku anh 2

Đến sáng 13/4, hình ảnh vệ tinh cho thấy Sinlaku đã phát triển thành một hệ thống rất lớn sau khi tăng cấp nhanh chóng vào cuối tuần. Theo Severe Wearther Europe, thời điểm hiện tại là sự yên tĩnh trước cơn bão đối với người dân Guam. Siêu bão Sinlaku qua Biển Philippines, nhắm vào Bắc Marianas và Guam, hòn đảo một lần nữa nằm trong "hẻm bão" của Thái Bình Dương. Ảnh: SWE.

Sinlaku anh 3

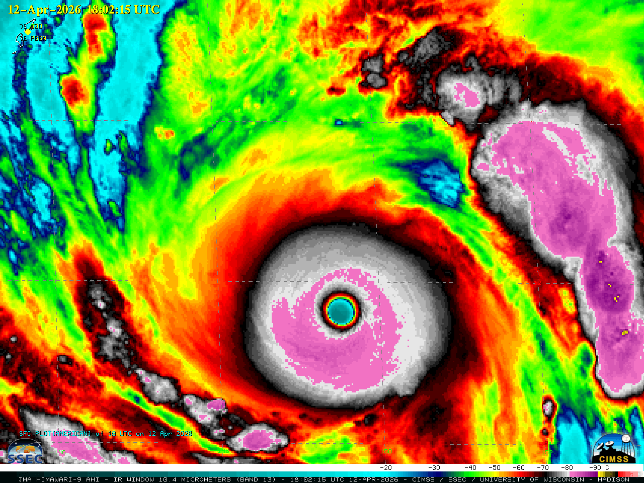
Siêu bão Sinlaku nhanh chóng tăng cường thành một cơn bão cấp 5 vào lúc 18h (giờ địa phương) ngày 12/4 ở Quần đảo Mariana, dựa trên dữ liệu hồng ngoại JMA Himawari-9 AHI Khu vực mục tiêu 2,5 phút. Nhiệt độ độ sáng hồng ngoại trên đỉnh mây bắt đầu ấm dần khi Sinlaku đạt đến cường độ cao nhất. Ảnh: CIMSS.

Sinlaku anh 4

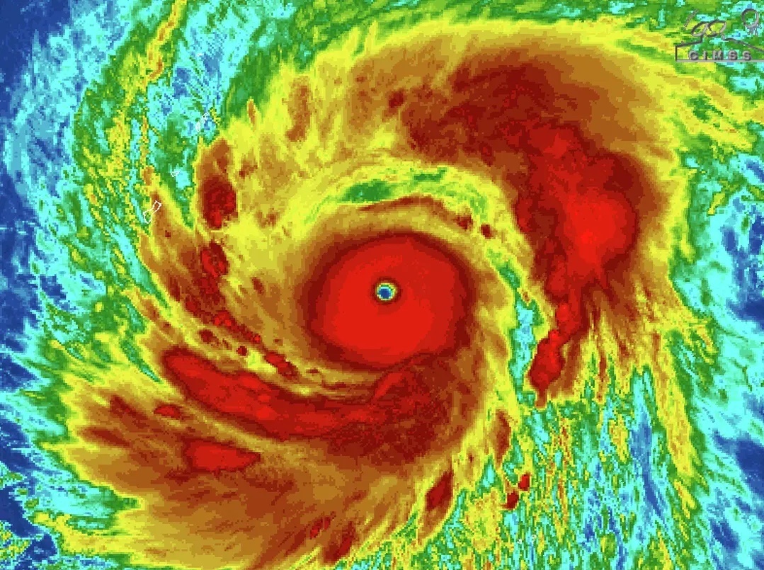
Dữ liệu vệ tinh cho thấy Sinlaku đã phát triển cấu trúc gần như hoàn chỉnh, mắt bão tròn, rõ nét, thành mắt (eyewall) dày đặc, đối lưu cực mạnh. Các dải mây xoắn ốc bao phủ phạm vi hàng trăm km. Cường độ hiện tại của bão được ghi nhận với sức gió duy trì khoảng gần 290 km/h, giật lên tới 310 km/h, tương đương cấp siêu bão cấp 5 theo thang Saffir-Simpson (hệ thống phân loại bão nhiệt đới). Ảnh: zoom.earth.

Sinlaku anh 5

Các chuyên gia nhận định đây có thể là thời điểm Sinlaku đạt đỉnh, với cấu trúc vệ tinh thể hiện rõ một hệ thống "cân đối hiếm gặp", dấu hiệu của những siêu bão mạnh nhất hành tinh. Tâm bão đang di chuyển theo hướng Tây Bắc rồi dần bẻ cong lên Bắc, nhắm trực tiếp vào quần đảo Bắc Mariana, lãnh thổ của Mỹ ở Tây Thái Bình Dương. Các khu vực chịu ảnh hưởng trực tiếp gồm Rota, Tinian, Saipan. Ảnh: CIMSS.

Sinlaku anh 6

Hình ảnh dải ban ngày/đêm từ tàu vũ trụ NOAA-20 VIIRS về đêm chỉ ra rằng sóng phát sáng trung quyển đang lan truyền xuyên tâm ra ngoài từ Sinlaku. Ảnh: CIMSS.

Sinlaku anh 7

Bên cạnh đó, theo hình ảnh vi sóng ghi nhận từ vệ tinh DMSP-18 và ATMS, không khí khô bị cuốn vào tuần hoàn của Sinlaku, bắt đầu bao quanh mắt và thành mắt. Ảnh: CIMSS.

Cẩm nang 'sống sót' nơi công sở

Trong MENTOR - Từ sinh viên chất đến nhân sự chiến, tác giả Lê Công Minh chia sẻ trải nghiệm vượt qua và học hỏi từ thất bại: Từ nam sinh thi trượt đại học đến giám đốc truyền thông kỹ thuật số, nhân viên Big 4 kiểm toán, sáng lập trung tâm tiếng Anh… Đây là nơi những bạn trẻ "lênh đênh" chốn công sở dễ tìm thấy mình và học hỏi để vươn lên trên con đường sự nghiệp.

Cận cảnh cầu treo rung lắc kinh hoàng vì bão Fung-Wong ở Philippines

Siêu bão Fung-Wong đổ bộ Philippines hôm 9/11 gây mưa lớn, khiến 2 người thiệt mạng, hàng triệu dân phải sơ tán. Cảnh cầu treo nổi tiếng rung lắc dữ dội cho thấy sức tàn phá của bão.

Bên trong 'con mắt tử thần' của siêu bão mạnh nhất năm

Đội bay săn bão ghi lại khoảnh khắc hiếm bên trong mắt siêu bão Melissa với bầu trời trong xanh và “ hiệu ứng sân vận động”.

Hinh anh mat bao Kalmaegi hinh anh

Hình ảnh mắt bão Kalmaegi

0

Cơn bão di chuyển qua miền Trung Philippines ngày 3/11 khiến ít nhất một người thiệt mạng. Hàng chục nghìn người buộc phải sơ tán đến vùng an toàn.

Canh tuong nhu 'ngay tan the' o Dubai hinh anh

Cảnh tượng như 'ngày tận thế' ở Dubai

0

Sét lớn đánh trúng tòa nhà cao nhất thế giới - Burj Khalifa - giữa cơn bão dữ dội, gây ngập lụt, kẹt xe và làm đảo lộn sinh hoạt tại Dubai (UAE).

Hà Vi

Bạn có thể quan tâm