Bạn có thể chuyển sang phiên bản mobile rút gọn của Tri thức trực tuyến nếu mạng chậm. Đóng

Bão SINLAKU tiếp tục mạnh lên, có thể đạt cấp siêu bão

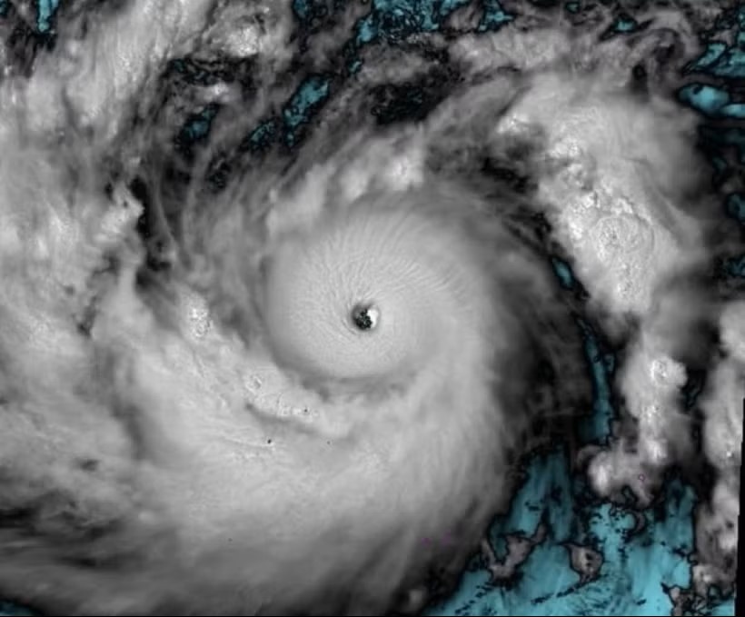
Dự báo trong 24 giờ tới bão SINLAKU sẽ di chuyển theo hướng Tây Bắc với tốc độ khoảng 15km/h và có khả năng sẽ mạnh lên thành siêu bão.

Bao SINLAKU anh 1

Ngày 12/4, thông tin về bão SINLAKU, theo Trung tâm Dự báo khí tượng thủy văn Quốc gia, cơn bão này đang tiếp tục mạnh lên, có thể đạt cấp siêu bão nhưng không di chuyển vào Biển Đông.

Sau hai ngày mạnh lên thành bão, đến 13h chiều 12/4, bão SINLAKU (cơn bão thứ 4 hoạt động trên khu vực Tây Bắc Thái Bình Dương) có vị trí ở vào khoảng 10.3 độ Vĩ Bắc - 150.7 độ Kinh Đông, cường độ gió đạt cấp 15 (xấp xỉ cấp siêu bão), giật trên cấp 17 và hiện vẫn còn cách Philippines khoảng gần 3.000 km.

Theo phân tích từ số liệu vệ tinh, hiện tại bão SINLAKU đang trong quá trình tăng cường độ nhanh, mắt bão rõ nét, vùng mây đối lưu phát triển mạnh và hoàn lưu đối xứng. Các điều kiện môi trường trên vùng biển thuận lợi như nhiệt độ mặt nước biển cao, thông lượng nhiệt từ đại dương dồi dào, độ đứt gió tầng cao yếu... tạo điều kiện để bão tiếp tục mạnh lên nhanh trong 24 giờ tới.

Dự báo trong 24 giờ tới bão SINLAKU sẽ di chuyển theo hướng Tây Bắc với tốc độ khoảng 15 km/h và có khả năng sẽ mạnh lên thành siêu bão. Đây sẽ là siêu bão đầu tiên hoạt động trên khu vực Tây Bắc Thái Bình Dương trong mùa bão lũ năm nay và là một trong số rất ít cơn siêu bão xuất hiện ngay trong tháng 4.

Cường độ của siêu bão SINLAKU mạnh nhất vào khoảng cấp 16-17, giật trên cấp 17; sau khi mạnh lên thành siêu bão, siêu bão SINLAKU sẽ đổi hướng di chuyển lên phía Bắc, sau đó nhiều khả năng sẽ tiếp tục đổi hướng một lần nữa thành hướng Bắc Đông Bắc vào khoảng ngày 16-17/4 và di chuyển tới vùng biển phía Đông của Nhật Bản và cường độ sẽ giảm cấp dần.

Hiện các dự báo bão đều cho thấy, bão sẽ không có khả năng đi vào khu vực Biển Đông Trung tâm Dự báo khí tượng thủy văn vẫn đang theo dõi sát diễn biến của siêu bão đầu mùa này.

Trước đó, sáng 9/4, một vùng áp thấp trên khu vực Tây Bắc Thái Bình Dương đã mạnh lên thành áp thấp nhiệt đới, vị trí lúc 7h ở vào khoảng 09 độ Vĩ Bắc - 152,2 độ Kinh Đông, cách Philippines khoảng gần 3.000 km, cường độ hiện tại mạnh cấp 7, giật cấp 9. Sau đó, ngày 10/4, áp thấp nhiệt đới này đã mạnh lên thành bão có tên quốc tế là SINLAKU.

Hơn 600 trang Việt Nam - Lãnh thổ và các vùng địa lý đã bao quát toàn bộ cảnh quan và đặc điểm cụ thể từng vùng ở Việt Nam trên nhiều góc nhìn như tự nhiên, khí hậu, đất đai, sông ngòi, dân cư, đặc trưng kinh tế. Đây được xem là tác phẩm kinh điển về địa lý Việt Nam của giáo sư Lê Bá Thảo.

https://www.vietnamplus.vn/bao-sinlaku-dang-tiep-tuc-manh-len-co-the-dat-cap-sieu-bao-post1104469.vnp

Vietnam+

(Znews đặt lại tiêu đề bài viết)

Bạn có thể quan tâm