![]() |
| Một chiếc phi cơ loại nhỏ bị xé nát sau khi tâm bão Soudelor quét qua đảo Saipan thuộc quần đảo Mariana. Hệ thống phát điện bị phá hủy khiến người dân phải sống trong tình trạng thiếu điện. Ảnh: USA Today |
![]() |
|
Một người dân cho biết, Soudelor là cơn bão đầu tiên có tâm quét qua đảo kể từ năm 1968. Phần mái nhà máy điện của địa phương bị phá hủy, gây ra tình trạng mất điện kéo dài tới cuối tuần. Ảnh: USA Today |
![]() |
| Ôtô bị lật ngửa trên đường. Ảnh: USA Today |
![]() |
| Tường gạch đổ làm hư hại những ôtô đỗ gần đó. Ảnh: Scoopnest |
![]() |
| Quần đảo Mariana là vùng lãnh thổ hải ngoại của Mỹ ở Thái Bình Dương. Cảnh sát trên đảo Saipan khắc phục hậu quả sau khi bão đổ bộ. Ảnh: Scoopnest |
![]() |
| Nhiều công trình trên đảo Saipan bị tốc mái vì gió bão. Trong 36 giờ, Soudelor phát triển thành siêu bão mạnh nhất năm 2015 từ một xoáy thuận nhiệt đới không đáng kể. Theo các nhà khoa học, hiện tượng El Nino, thuật ngữ chỉ nhiệt độ nước biển tăng cao, là nguyên nhân khiến các cơn bão mạnh lên nhanh chóng. Ảnh: Scoopnest |
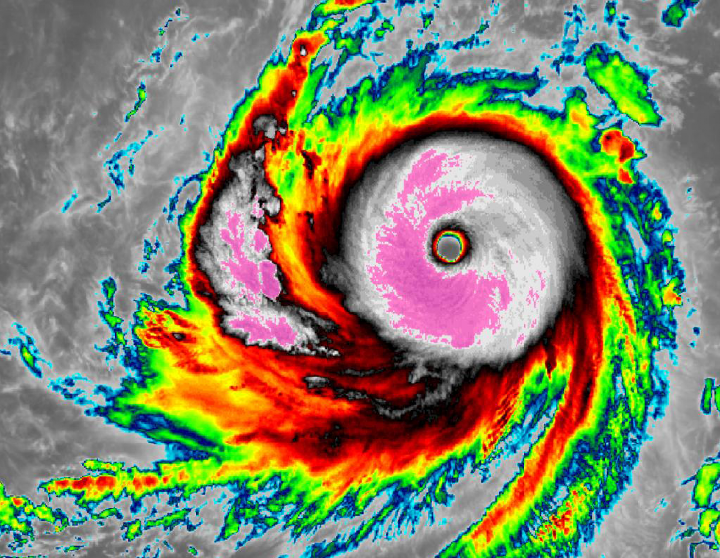
![]() |
| Sau khi quét qua quần đảo Mariana, bão Soudelor tiếp tục hướng về phía Nhật Bản và Trung Quốc. Theo dự đoán, Đài Bắc (Đài Loan, Trung Quốc) nằm trên đường tâm bão quét qua. Ảnh: NOAA |






