| Sáng 28/3, gió mạnh và mưa lớn "quần thảo" vùng duyên hải đông bắc Australia do ảnh hưởng của bão Debbie. Bão có sức gió hơn 263 km/h, đạt cấp 4 theo thang đo của Australia. Ảnh: Reuters. |
![]() |
| Bão dự kiến đổ bộ vào đất liền lúc 14h ngày 28/3 (giờ địa phương) với sức gió có thể tăng từ cấp 4 lên cấp 5. Đồ họa: Cục Khí tượng Australia. |
![]() |
| Hơn 2.000 nhân viên cứu hộ cứu nạn được huy động chống bão. Khoảng 30.000 người dân ở các vùng trũng thấp được yêu cầu sơ tán. Theo Reuters, đây có thể là đợt sơ tán lớn nhất Australia kể từ cơn bão Tracy năm 1974. Ảnh: Getty. |
![]() |
| Chính quyền bang Queensland đã đóng cửa 181 trường học và 232 cơ sở giáo dục sớm dành cho trẻ em. Tất cả các chuyến bay tại phi trường Townsville và Mackay đều bị hủy. Đồ họa: BBC. |
![]() |
| Gần 50.000 người dân đang sống trong cảnh mất điện. Cơ quan chức năng mới chỉ ghi nhận một trường hợp người bị thương do bão tại Proserpine. Sau khi vào đất liền, bão Debbie đã suy yếu thành cấp 3. Ảnh: The Australia. |
![]() |
| Cây cối ngã đổ trong mưa gió ở Bowen. Cơ quan Bảo hiểm Australia (ICA) tuyên bố bão Debbie là một "thảm họa". Người đứng đầu ICA Rob Whelan nói còn quá sớm để ước tính thiệt hại song cho biết các công ty bảo hiểm dự đoán sẽ có nhiều người đòi bồi thường trong những tuần tới. Ảnh: Lyndon Mechielsen/The Australia. |
![]() |
| Hình ảnh bão Debbie nhìn từ Trạm Không gian Quốc tế (ISS). Ảnh: NASA. |
![]() |
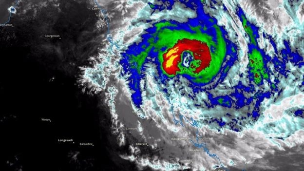
| Hình ảnh mây vệ tinh sáng 28/3 cho thấy tâm bão Debbie đang di chuyển theo hướng tây nam về phía bắc bang Queensland. Ảnh: Cơ quan Khí tượng Nhật Bản. |
![]() |
| Vợ chồng Roger và Tyler Matakamikamica, chủ một cơ sở kinh doanh, trú trong cửa hàng của họ. Ảnh: Lyndon Mechielsen/The Australia.
|
![]() |
| Thủ hiến bang Queensland, bà Annastacia Palaszczuk (áo xanh), họp với cảnh sát tại Brisbane về công tác phòng chống bão. Bão Debbie là cơn bão lớn nhất tân công Queensland từ sau bão Yasi năm 2011. Ảnh: The Australia. |








