Bạn có thể chuyển sang phiên bản mobile rút gọn của Tri thức trực tuyến nếu mạng chậm. Đóng

Những chiếc lỗ bí ẩn dưới đáy đại dương

Các nhà khoa học lần đầu phát hiện những chiếc lỗ dưới đáy biển dọc sống núi giữa Đại Tây Dương (Mid-Atlantic Ridge) cách đây 18 năm, nhưng đến nay nguồn gốc của nó vẫn là bí ẩn.

Sâu trong vùng nước dọc theo một sườn núi lửa dưới đáy Đại Tây Dương, các nhà thám hiểm sử dụng một phương tiện điều khiển từ xa để kiểm tra, và tìm thấy một mẫu lỗ trên cát. Phần lớn khu vực này chưa được khám phá trước đây.

Trong quá trình lặn ở phía bắc Azores, gần khu vực đất liền của Bồ Đào Nha, vào ngày 23/7, họ nhìn thấy khoảng một chục lỗ hổng giống như một đường kẻ dưới đáy đại dương, ở độ sâu 2,5 km, theo New York Times.

Một tuần sau đó, các nhà thám hiểm 4 lần phát hiện thêm những lỗ hổng này ở cao nguyên Azores - nằm dưới đáy đại dương và là nơi ba mảng kiến ​​tạo gặp nhau. Những cái hố này ở độ sâu khoảng 1,6 km và cách địa điểm phát hiện ban đầu khoảng 482 km.

Các nhà khoa học không biết các lỗ này là gì, nhưng họ đã gặp những dấu vết tương tự trước đây và coi chúng là "lebensspuren", trong tiếng Đức có nghĩa là "dấu vết sự sống", ám chỉ những dấu ấn trong trầm tích có thể xuất phát từ các sinh vật sống.

Bí ẩn chưa có lời giải

Câu hỏi mà các nhà khoa học đang đặt ra, cho chính họ và cho công chúng trong các bài đăng trên Twitter Facebook, là: “Điều gì tạo ra những dấu vết này dưới đáy đại dương?”.

“Nguồn gốc của những chiếc lỗ này đã khiến các nhà khoa học bối rối. Những cái hố trông có vẻ do con người tạo ra, nhưng đống trầm tích nhỏ xung quanh cho thấy chúng được tạo ra bởi thứ gì đó”, dự án Thám hiểm Đại dương, thuộc cơ quan Quản lý Đại dương và Khí quyển Quốc gia Mỹ (NOAA), viết trên Twitter.

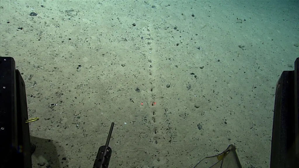
bi an duoi day dai duong anh 1

Trong khi các nhà nghiên cứu khám phá một ngọn núi lửa ở Mid-Atlantic Ridge, họ đã quan sát thấy một số lỗ hổng trong lớp trầm tích. Ảnh: NOAA.

Bà Emily Crum, phát ngôn viên của NOAA, cho biết gần hai thập kỷ trước, chỉ cách khoảng 43 km so với vị trí đầu tiên mà đoàn thám hiểm vừa tìm thấy, các nhà khoa học đã phát hiện ra những lỗ tương tự.

Tuy nhiên, thời gian trôi qua, họ vẫn chưa có câu trả lời rõ ràng, ông Michael Vecchione, nhà sinh vật học biển sâu của NOAA tham gia chuyến thám hiểm gần đây, cho biết.

“Có một điều gì đó quan trọng đang diễn ra nhưng chúng tôi không biết là gì”, tiến sĩ Vecchione nói. “Điều này làm nổi bật sự thật rằng vẫn còn những bí ẩn ngoài kia”.

Những chiếc lỗ chỉ là một trong những câu hỏi mà các nhà khoa học đang tìm lời giải đáp, khi tham gia chuyến thám hiểm Mid-Atlantic Ridge đầy tham vọng - một phần của dãy núi khổng lồ trải dài hơn 16.000 km dưới Đại Tây Dương.

Các chuyên gia của NOAA đang tìm câu trả lời qua 3 cuộc thám hiểm mà họ gọi là Hành trình đến sống núi 2022, kéo dài từ tháng 5 đến tháng 9. Họ sẽ trải qua hành trình từ vùng biển ngoài khơi Newport, đảo Rhode, đến Azores và quay trở lại Puerto Rico ở Caribe.

Các nhà thám hiểm muốn tìm hiểu những sinh vật nào đang sống dọc theo dãy núi lửa dưới nước, và điều gì xảy ra khi các quá trình địa chất sinh nhiệt hỗ trợ sự sống, bị dừng lại.

Nỗ lực thu hút công chúng

Ông Derek Sowers, điều phối viên đoàn thám hiểm trên con tàu Okeanos Explorer của NOAA, cho biết họ đang chú ý đến các loại san hô nước sâu và bọt biển, được biết đến là “một trong những hệ sinh thái biển có giá trị nhất trên Trái Đất”.

Tiến sĩ Sowers nói rằng các cuộc thám hiểm tương tự dự án Du hành trên sống núi là cách cơ "cơ bản" để thu thập kiến thức về đa dạng sinh học và "các hợp chất mới được tạo ra bởi tất cả dạng sống này".

bi an duoi day dai duong anh 2

Một rạn san hô ít nhất 100 năm tuổi, có chiều ngang gần một mét, được tìm thấy dưới đáy sâu, ở Đại Tây Dương. Ảnh: NOAA.

Bên cạnh đó, họ muốn biết thêm về những khu vực nước biển được làm nóng bởi đá magma. Loại đá nóng chảy này và một số chất hóa học khác là nguồn năng lượng cho sự sống dưới đáy biển, trái với sự sống trên bề mặt Trái Đất dựa vào năng lượng mặt trời.

“Điều này mở rộng hiểu biết của chúng ta về những điều kiện duy trì sự sống trên các hành tinh khác”, tiến sĩ Sowers nói.

Sau khi công ty chuyển sang sử dụng mạng xã hội với nỗ lực thu hút công chúng, hàng chục bình luận đã xuất hiện, trong đó một số bình luận suy đoán kỹ lưỡng: Các lỗ này có phải do con người tạo ra không? Chúng có thể là một dấu hiệu từ người ngoài Trái Đất? Chúng có phải dấu vết do tàu ngầm để lại? Hay là lỗ thở của một "sinh vật biển sâu tự chôn mình dưới cát?".

Tiến sĩ Vecchione nói rằng dự đoán cuối cùng không hẳn quá xa vời. Trong một bài báo về các lỗ được phát hiện vào năm 2004, ông Vecchione và đồng tác giả Odd Aksel Bergstad, cựu thành viên tại Viện nghiên cứu biển Na Uy, đã đề xuất hai giả thuyết chính về lý do tồn tại của chúng.

Một giả thuyết là sinh vật biển đi bộ hoặc bơi trên lớp trầm tích và chọc lỗ xuống cát. Kịch bản ngược lại là chúng chôn mình trong lớp trầm tích và chọc lỗ từ dưới lên.

Tiến sĩ Vecchione cho biết các lỗ được phát hiện hôm 28/7 dường như bị chọc từ dưới lên. Chiếc xe thám hiểm được điều khiển từ xa đã thu thập các mẫu trầm tích để kiểm tra xem có sinh vật sống trong các lỗ này hay không.

Tiến sĩ Vecchione nói thêm rằng dù hài lòng khi gặp lại những chiếc lỗ dưới đáy đại dương, ông “hơi thất vọng” vì các nhà khoa học vẫn chưa có lời giải thích.

“Nó củng cố niềm tin rằng có một bí ẩn mà một ngày nào đó chúng ta sẽ phát hiện”, ông nói. “Nhưng chúng ta vẫn chưa tìm ra”.

Ễnh ương Mỹ và rắn cây nâu thổi bay 16 tỷ USD của kinh tế thế giới

Theo một nghiên cứu được công bố hôm 28/7, hai loài xâm lấn, gồm ễnh ương Mỹ và rắn cây nâu, đã khiến thế giới thiệt hại khoảng 16 tỷ USD trong giai đoạn 1986-2020.

Phát hiện thực vật lớn nhất Trái Đất

Thảm cỏ biển tại Tây Australia có độ lớn tương đương 20.000 sân bóng (bầu dục) do một cây con nhân bản, phát triển bền bỉ trong suốt 4.500 năm.

My - Han co the tai khoi dong doi thoai voi Trieu Tien hinh anh

Mỹ - Hàn có thể tái khởi động đối thoại với Triều Tiên

0

Triều Tiên ngày 14/3 phóng loạt tên lửa đạn đạo ra vùng biển phía Đông. Động thái này diễn ra trong bối cảnh Thủ tướng Hàn Quốc Kim Min-seok và Tổng thống Mỹ Donald Trump đang cũng thảo luận về khả năng nối lại đối thoại với Triều Tiên.

5.000 linh My tu Nhat Ban do bo Trung Dong hinh anh

5.000 lính Mỹ từ Nhật Bản đổ bộ Trung Đông

0

Khoảng 5.000 binh sĩ Mỹ, trong đó có lực lượng từ Nhật Bản, đang được điều động tới Trung Đông để tăng phương án tác chiến trong bối cảnh căng thẳng với Iran tiếp tục leo thang.

Hải Linh

Bạn có thể quan tâm