Bạn có thể chuyển sang phiên bản mobile rút gọn của Tri thức trực tuyến nếu mạng chậm. Đóng

Nghĩa địa san hô trong khu bảo tồn vịnh Nha Trang

Hàng nghìn m2 đáy biển khu vực vùng lõi Khu bảo tồn biển vịnh Nha Trang chất đống san hô chết. Một số vị trí đã sạch dấu vết san hô.

Khu bảo tồn vịnh Nha Trang như vùng biển chết San hô chết trắng đáy biển, tôm, cá không còn nơi trú ngụ rời đi nơi khác. Cả vùng biển rộng lớn ở vùng lõi Khu bảo tồn vịnh Nha Trang (TP Nha Trang, Khánh Hòa) xác xơ, tiêu điều.
San ho khu bao ton bi tay trang anh 1

Đảo Hòn Mun - vùng lõi Khu bảo tồn biển vịnh Nha Trang, là nơi được bảo vệ nghiêm ngặt và là khu vực có hệ sinh thái san hô đẹp bậc nhất Việt Nam với nhiều loài đặc sắc.

San ho khu bao ton bi tay trang anh 2

Tuy nhiên, hiện nơi này san hô chết khoảng 70-80%. Dưới đáy biển, nhiều khu vực, mỗi khu có hàng trăm m2 sạch bóng san hô hoặc xác san hô chết chất đống.

San ho khu bao ton bi tay trang anh 3

Đáy biển phủ một màu xám xịt. San hô chết gây ảnh hưởng nghiêm trọng đến hệ sinh thái nơi này. Nhiều loài thủy sản đã rời đi nơi khác trú ngụ.

San ho khu bao ton bi tay trang anh 4

"Rất đau xót. Mình làm nghề lặn 10 năm, giờ chứng kiến cảnh san hô chết trắng đáy biển thật sự buồn lắm. Có thể 50-60 năm nữa chưa chắc phục hồi được như trước", anh Lê Đình Trí, một huấn luyện viên lặn, nói.

San ho khu bao ton bi tay trang anh 5

San hô chết chất đống dưới đáy biển khu vực phía nam đảo Hòn Mun.

San ho khu bao ton bi tay trang anh 6

"Vị trí này san hô bị 'tẩy trắng' sau đợt bão tháng 9/2021. Dưới đáy phủ đầy san hô chết, còn trên bờ sóng cũng đánh dạt chất hàng đống", ông Cao Đức Đại, cán bộ Ban quản lý vịnh Nha Trang, cho biết.

San ho khu bao ton bi tay trang anh 7

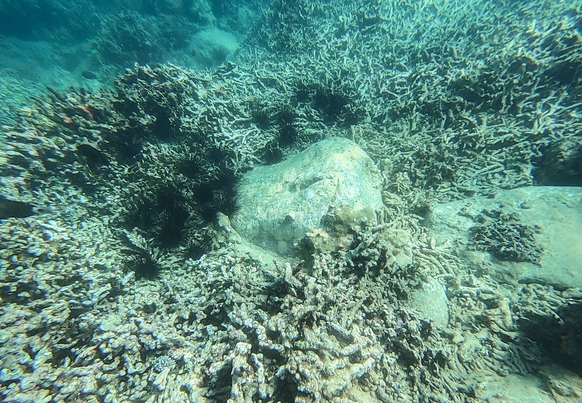
Tiếp tục lặn khu vực bắc đảo Hòn Mun, chúng tôi chứng kiến đáy biển gần như sạch bóng san hô.

San ho khu bao ton bi tay trang anh 8

"Khu vực này trước đây có hệ sinh thái san hô tuyệt đẹp. Hàng trăm nghìn du khách cũng mê mẩn khi lặn ngắm san hô ở đây nhưng giờ đáy biển không còn gì", anh Trí nói.

San ho khu bao ton bi tay trang anh 9

Đáy biển khu vực bắc Hòn Mun chỉ còn trơ lại những mỏm đá, lác đác vài con cầu gai, các loại cá gần như biến mất hoàn toàn vì không còn nơi trú ngụ.

San ho khu bao ton bi tay trang anh 10

Trên bờ hàng tấn san hô chết bị sóng đánh dạt.

San ho khu bao ton bi tay trang anh 11

"San hô bị sóng đánh lên bờ từ cuối năm 2021 khi cơn bão số 9 quét qua", ông Đại thông tin.

San ho khu bao ton bi tay trang anh 12

Ngoài san hô sừng, nhiều khối san hô tảng cũng bị sóng đánh dạt lên bờ quanh khu vực đảo Hòn Mun.

San ho khu bao ton bi tay trang anh 13

"Du khách vẫn chọn hình thức lặn biển ngắm san hô ở khu vực Hòn Mun. Tuy nhiên, nhiều người tỏ ra buồn khi chứng kiến san hô chết quá nhiều, không còn đẹp như xưa", một huấn luyện viên lặn cho biết.

Tỉnh ủy Khánh Hòa vừa có văn bản gửi UBND tỉnh này về việc giải quyết thông tin báo chí phản ánh liên quan đến tình trạng suy giảm rạn san hô tại Khu bảo tồn biển Vịnh Nha Trang, TP Nha Trang.

Theo đó, Thường trực Tỉnh ủy Khánh Hòa giao UBND tỉnh Khánh Hòa chỉ đạo việc kiểm tra làm rõ những nội dung báo chí nêu, từ đó đánh giá thực chất công tác bảo tồn rạn san hô tại Khu bảo tồn biển Vịnh Nha Trang, đồng thời làm rõ nguyên nhân và đề xuất các giải pháp xử lý, khắc phục, báo cáo kết quả cho Thường trực Tỉnh ủy trước ngày 19/6.

Hôm 14/6, UBND TP Nha Trang tổ chức cuộc họp với Ban quản lý vịnh Nha Trang, Viện Hải dương học Nha Trang và Trung tâm Nhiệt đới Việt - Nga liên quan đến việc san hô bị "tẩy trắng" ở Khu bảo tồn biển vịnh Nha Trang.

Tuy nhiên, cuộc họp này báo chí không được tham dự.

Tỉnh ủy Khánh Hòa yêu cầu báo cáo vụ san hô chết tại Hòn Mun

Tỉnh ủy Khánh Hòa yêu cầu đánh giá thực chất công tác bảo tồn rạn san hô tại Khu bảo tồn biển Vịnh Nha Trang và làm rõ nguyên nhân, đề xuất các giải pháp xử lý, khắc phục.

San hô ở vịnh Nha Trang bị 'tẩy trắng' đã được cảnh báo trước

“Từ 1998, tôi cảnh báo san hô ở Hòn Mun sẽ bị tổn hại, thậm chí biến mất nếu không được quản lý nghiêm túc. Đến nay cảnh báo đó đã thành sự thật", ông Thành, chuyên gia lặn, nói.

San hô ở Nha Trang bị 'tẩy trắng' là vấn đề nghiêm trọng

Chuyên gia hải dương học cho rằng để có một rạn san hô phải mất hàng nghìn, thậm chí cả triệu năm. Nếu khu vực nào đó bị “tẩy trắng” thì có thể mãi mãi không hồi phục được.

Khu bảo tồn biển vịnh Nha Trang kêu cứu

Tỷ lệ bao phủ san hô ở khu bảo tồn biển Nha Trang xuống mức thấp kỷ lục. Đáy biển khu vực lõi Hòn Mun, san hô chết phủ trắng hàng trăm m2.

Resort co view bien o Phu Yen cho ky nghi he hinh anh

Resort có view biển ở Phú Yên cho kỳ nghỉ hè

0

Không chỉ có lợi thế về cảnh quan trời phú, Phú Yên cũng đang xuất hiện thêm nhiều khu nghỉ dưỡng cao cấp để đáp ứng nhu cầu đa dạng của du khách.

Mot cai cham nhe cung du giet chet san ho hinh anh

Một cái chạm nhẹ cũng đủ giết chết san hô

0

Nếu không cẩn thận chạm vào san hô, chúng sẽ bị ảnh hưởng hoặc chết. Bỏ lại rác hay vô tình đánh rơi các vật dụng nhỏ cũng là yếu tố làm hại sinh vật này.

2 hon dao bo hoang giua khu dat vang New York hinh anh

2 hòn đảo bỏ hoang giữa khu đất vàng New York

0

Nằm ngay gần các vùng dày đặc nhà cửa của New York - siêu thành phố dân cư đông đúc, nhưng 2 hòn đảo North Brother và South Brother vẫn bị bỏ hoang hơn 50 năm nay.

Xuân Hoát

Bạn có thể quan tâm