![]() |
|
Chuyên gia Jeff Masters trang thời tiết Wunderground.com tại Mỹ cảnh báo: “Nếu siêu bão Yolanda (tên quốc tế là Haiyan) tiếp tục mạnh lên sau khi tiến vào Biển Đông, nó có thể trở thành cơn bão mạnh nhất trong lịch sử”. Sức gió mạnh nhất ở tâm bão có thể lên tới 379 km/h. Ảnh: AFP. |
![]() |
|
Vệ tinh nhân tạo chụp cảnh siêu bão di chuyển Haiyan và sức tàn phá của nó khi bắt đầu tiếp cận lãnh thổ Philippines. Ảnh: AP. |
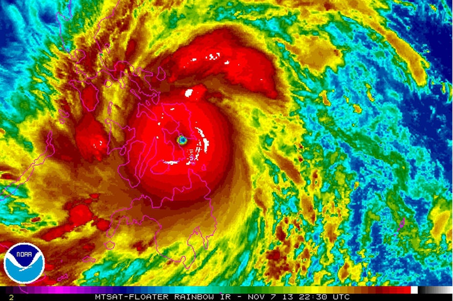
![]() |
|
Cận cảnh sức tàn phá của cơn bão. Là một trong những siêu bão mạnh nhất trong lịch sử, phần mắt bão hiện ra rất rõ từ bên ngoài không gian. Ảnh: AP. |
![]() |
|
Bức ảnh vệ tinh mô phỏng nơi cơn bão xuất hiện và đường đi của nó. Ảnh: Static.us. |
![]() |
|
Các chuyên gia khí tượng dự đoán đường đi của bão Haiyan trong những ngày sắp tới. Sau khi vượt qua Philipines, siêu bão Haiyan sẽ tiến vào Biển Đông hôm thứ 7, đổ bộ miền trung Việt Nam trong ngày chủ nhật trước khi suy yếu và tan trong đất liền. Ảnh: Accuweather.com. |
![]() |
|
Sức tàn phá của siêu bão Haiyan sau khi quét qua Philippines và tiến vào Biển Đông. Ảnh: QZ.com. |





