Thế giới
Ảnh & Video
Bão song sinh Goni và Atsani tiến thẳng vào Đông Á
- Thứ sáu, 21/8/2015 22:22 (GMT+7)
- 22:22 21/8/2015
Cơn bão nhiệt đới Goni đã di chuyển qua khu vực gần phía bắc Philippines vào chiều 21/8, gây mưa lớn cho khu vực trong khi bão Atsani đang tiến tới các đảo Nhật Bản.
 |
| Hình ảnh hai cơn bão Atsani (phải) và Goni (trái) tại cùng thời điểm do vệ tinh quan sát thời tiết Himawari-8 của Cơ quan Khí tượng Nhật Bản ghi hình hôm 19/8. |
 |
| Goni và Atsani xuất hiện khá gần nhau ở vùng tây bắc Thái Bình Dương. |
 |
| Hướng gió của hai cơn bão Goni (trái) và Atsani (phải) thể hiện trên ảnh vệ tinh. |
 |
| Bão Atsani lớn và dữ dội nhưng nằm xa đất liền hơn so với bão Goni. |
 |
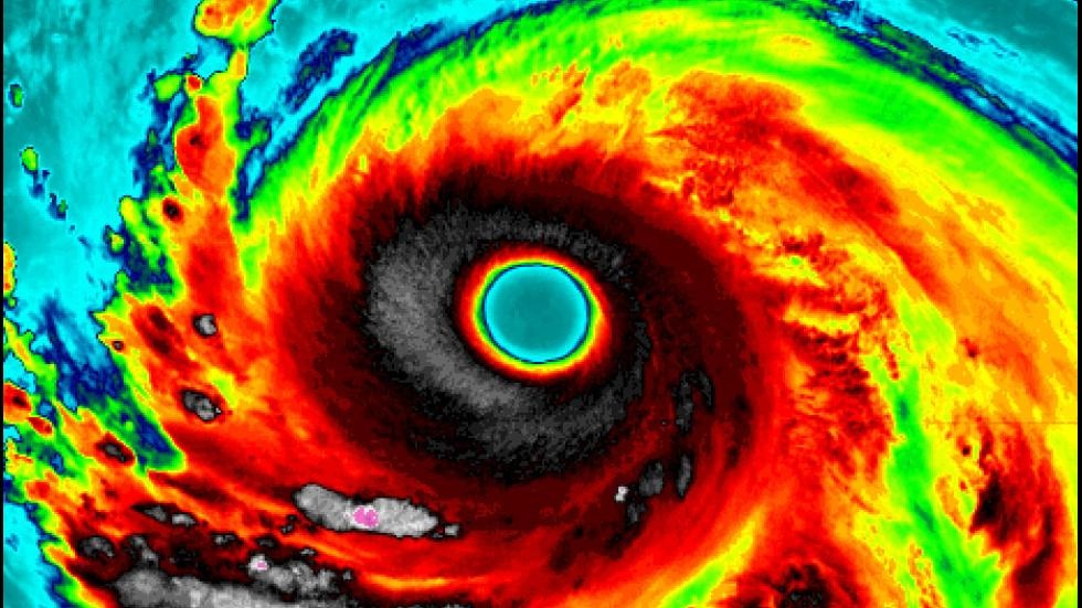
| Mắt bão Goni vào ngày 17/8. Theo Trung tâm Cảnh báo bão của quân đội Mỹ, Goni nằm cách tỉnh Okinawa, Nhật Bản khoảng 980 km về phía Tây Nam và sức gió mạnh tối đa 185 km/h vào lúc 5h sáng 21/8 (theo giờ miền đông nước Mỹ). Như vậy, nó tương đương với bão cấp 3 trên thang bão Saffir Simpson. |
 |
| Hôm 19/8, mắt bão lớn hơn so với hôm 17/8. Weather.com cho biết, lúc 14h ngày 21/8, bão Goni với sức gió mạnh ở vùng gần tâm cấp 15, giật trên cấp 17 đã đi qua khu vực phía đông bắc đảo Luzon của Philippines. Sức gió mạnh nhất ở vùng gần tâm bão đạt cấp 15 (từ 165 đến 185 km/h), giật trên cấp 17. Sau khi đi qua Philippines, bão Goni sẽ đổ bộ qua khu vực phía bắc và đông Đài Loan vào cuối tuần. Nó cũng có thể quét qua quần đảo Ryukyu của Nhật Bản. |
 |
| Tính đến 5h (giờ EDT) hôm 21/8 (khoảng 6h, giờ Nhật Bản), Atsani di chuyển cách đảo Iwo Jima khoảng hơn 480 km về phía đông. |
 |
| Mắt bão Atsani. Cơn bão có sức gió mạnh tối đa 201 km/h, tương đương với bão cấp 3. Atsani từng là siêu bão cấp 5 hôm 19/8, nhưng có thể nó sẽ tiếp tục suy yếu dần trong những ngày tới. |
 |
| Vệ tinh quan sát thời tiết Himawari-8 từ trung tâm vũ trụ Tanegashima ở tỉnh Kagoshima, phía tây nam Nhật Bản chụp mắt bão Atsani. |
bão
Philippines
Đài Loan
Đông Á
Nhật Bản
mắt bão